Sale

Vanzare teren Plevnei Opera ideal birouri

Bucuresti, Calea Plevnei, Cismigiu/Stirbei Voda/Sala Palatului

Actualizat din sursa: 14.11.2025 15:44

Pret solicitat

749,000

Agentie: Divaro.ro

ID proprietate: 4212

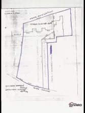
Vanzare teren Plevnei Opera ideal birouri - imagine 1
1 / 14

Descriere

Vanzare teren situat in zona Plevnei Opera, ideal pentru dezvoltarea de birouri! Aceasta proprietate beneficiaza de o amplasare excelenta, la doar cateva minute de Opera Romana si de statia de metrou Eroilor, oferind acces facil la transportul public si la numeroasele facilitati din apropiere.

Terenul permite construirea unui imobil cu regim mare de inaltime (P+6), fiind perfect pentru un bloc de apartamente, un birou modern sau chiar o clinica. In prezent, pe teren se afla o casa demolabila cu o amprenta la sol de 97mp, oferind oportunitatea de a incepe un nou proiect in inima capitalei.

Istoric disponibilitate

Oct
Noi
Dec
Ian
Feb
Mar

Dotari si beneficii

3 elemente
Apa
Canalizare
Contor gaz

Alerte disponibile

Anunta-ma la modificari

Primeste notificari cand proprietatea "Vanzare teren Plevnei Opera ideal birouri" se actualizeaza.

PUSH

Pentru a primi alerte, permite notificari si accepta abonarea.

Date esentiale

Tip proprietate

Terenuri

Zona

Cismigiu/Stirbei Voda/Sala Palatului

Status listare

sale

Cod anunt

4212

Ultima actualizare

14.11.2025 15:44

Agent dedicat

Teodorescu Diana

Agentie: Divaro.ro

Suna agentul

Locatie

Pozitionare pe harta

live

Coordonate: 44.43900, 26.07575

Portofoliu agentie

Vezi toate proprietatile Divaro.ro

Vezi portofoliul complet

Puncte de interes

In raza de 50 - 200 m

200 m
50 m 200 m
Se incarca punctele de interes...

Descopera

Alte proprietati in zona

Selectie bazata pe o raza de 12 km

Pareri si feedback

Spune-ne ce crezi despre aceasta proprietate

Comentarii

Alatura-te discutiei

Ai un gand sau o intrebare? Lasa un comentariu mai jos.

0 comentarii
Autentificarea este necesara pentru voturi.
Nu exista comentarii inca. Fii primul care lasa un gand.